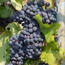
Лозата Адел Майн е ценен сорт, предназначен както за директна консумация, така и за вино. Големи, овални плодове се образуват на конични гроздове. Плодовете са покрити с матова лилаво-черна кожа, която крие много сладка и вкусна плът. Те достигат беритбена зрялост в края на септември. Лозата Адел Майн може да се отглежда до пергола или беседка, както и на кострукция в градината. Нейните големи, тъмнозелени листа и атрактивни плодове ще бъдат невероятна украса на нашата градина.
Предлаганите разсади са високи 50 см. и са засадени в саксия с размер П9!

